Betreute Wohnung in Puch bei Weiz
8182 Puch bei Weiz, Wohnung zur Miete
Kontaktdaten

- NameFrau Claudia Gruber
- FirmaSiedlungsgenossenschaft Rottenmann
- Telefon
Objektdaten
- Objekt-ID56371
- ObjekttypWohnung
- Adresse8182 Puch bei Weiz
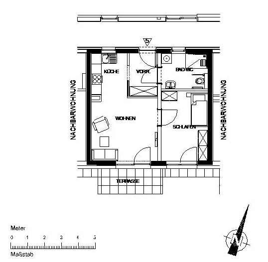
- Wohnfläche ca.41,05 m²
- Nutzfläche ca.41,05 m²
- Wohn-Schlafzimmer2
- Badezimmer1
- Balkone1
- Heizwärmebedarf (HWB)40,10 kWh/(m²·a) (Klasse B)
- Gesamtenergieeffizienz-Faktor (fGEE)0,71 (Klasse A)
- MieterprovisionNein
- KautionKaution € 586,00
- Warmmiete617,10 EUR
Ausstattung / Merkmale
- ✓ Balkon
Energieausweis
Objektbeschreibung
Beschreibung
Unsere Genossenschaft vermietet in Puch bei Weiz die geförderte Mietwohnung Nr. 5 mit "betreutem Wohnen". Das Bestandsobjekt befindet sich im 1. Obergeschoss und verfügt über einen Balkon. Gerne steht Ihnen unsere Wohnungsberaterin Frau Claudia Gruber (03614/2445–978) für Details zur Verfügung!
Sonstiges
Wohnung
Lage
8182 Puch bei Weiz, Österreich (auf Google Maps ansehen)







